Skip to the article content

What you'll need to apply


Preparing for your application

To help you prepare for your nbn® New Developments application, please ensure you have the following information on hand. This will help us accurately assess your application:









1. Development address and types of applications

This should be the most recent address listed on your council documents or development plan. For the purposes of this application, the address must be a new mailing address and/or an address with no previous nbn connection.

nbn accepts applications for:

  • New dwellings or lots being constructed, typically new buildings requiring a new mailing address 
  • Broadacre subdivisions 
  • Newly constructed apartments, townhouses or villa units 
  • Commercial premises – only for new lots or tenancies created or as part of an expansion. 
  • Subdivisions – only for the new lots that are created 
  • Granny flats/outbuildings – only if they are newly constructed and have a separate address from the primary residence (these instances will require a unique lead in conduit). 
  • Knock down rebuild – only if a new address is created. For example: 
    • If you knock down an existing house and create three new addresses, the three new addresses will attract the new developments charge 
    • If you don’t knock down the existing house and create three new addresses (four in total), only the three new addresses will attract the new developments charge. 
    • If you knock down a single house and rebuild a single house in its place – this will not attract a new developments charge. 
  • nbn Smart Places - eligible non-premises locations that are part of common infrastructure when designing and developing Master Plan Communities, commercial and industrial estates, and smart cities of the future.

Read an important note on nbn Smart Places*


Multi-stage developments

For developments that will be completed over multiple stages. Start by submitting an nbn New Developments application to have your development assessed. After your initial application has been accepted, you can register and log in to the nbn New Developments portal. This is where you can apply for any additional stages of an eligible development.


Important note

nbn is accepting applications for builds to non-premises locations in our existing nbn Ready For Services (RFS) footprint and new developments. Service connectivity availability will depend on service providers offering nbn Smart Places, and timing of product availability will be at provider discretion.



2. Total number of new nbn connections

The total number of new nbn connections you need to register must include:

  • New dwellings or lots with no previous nbn connection
  • Other additional services (such as fire alarms or an elevator telephone line) with no previous nbn connection
  • nbn Smart Places - eligible non-premises locations requiring broadband connectivity (e.g. traffic lights, digital billboards and public Wi-Fi). 

It’s important to make sure the total number of connections is correct – we use this information to calculate the developer contributions charge.




3. Your development details and plans (Lead-in Conduits (LIC), pit and pipe or pathways)

During the application you will be asked to enter your development details. These will include:

  • The type of development work that will be taking place (e.g. empty lot or subdivision of land, multi-dwellings/high rise, super lots)
  • Estimated occupancy date

You will also be asked how you plan to build for the nbn network infrastructure within your property boundary. We suggest speaking to your builder or an nbn New Developments trained supplier - designer or installer about which build process is best for your development. Our design and build guidelines are also a helpful resource.




Depending on the process, you’ll need to submit specific plans for our assessment:

Build process What you'll need to submit
Lead-in Conduit (LIC)
  • Planned address of each dwelling
  • Planned location of the telecommunications conduit at each dwelling
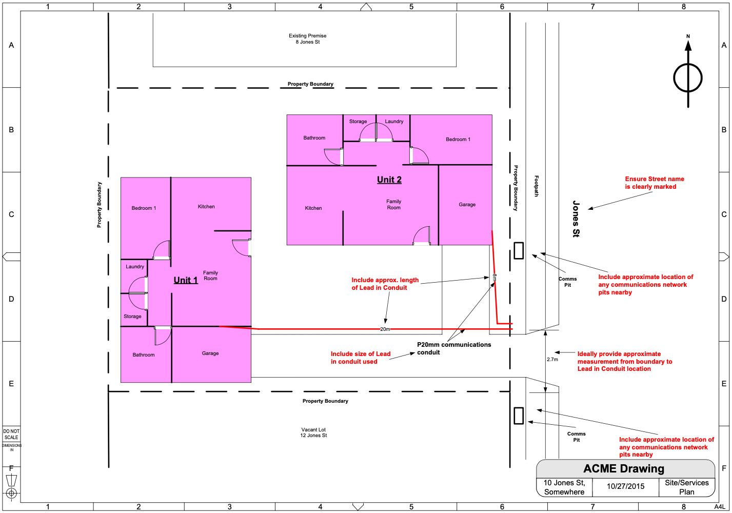
  • Telecommunication services plan that is clearly marked with the planned location of the lead-in conduits within your property boundary. Read an example service plan.
  • Planned location of nbn Smart Places (non-premises) sites requiring connectivity. 
Pit and pipe
  • Details of the pit and pipe on private land (if applicable)
  • Approximate number of stages (if applicable)
  • Planned roads (if applicable)
  • Master development plan with the planned location of the pit and pipes clearly marked (if applicable)
  • Planned location of nbn Smart Places (non-premises) sites requiring connectivity.  
Pathway
  • Approximate number of stages (if applicable)
  • Planned roads (if applicable)
  • Master development plan with the planned location of the pathways clearly marked (if applicable)



4. Contact details of the Applicant, Property Developer and Billing contacts 

Applicant

The Applicant is the primary contact for this online application and will receive the confirmation email once the form is successfully submitted.

Authorised representatives of the Property Developer

If you are an authorised representative of the Property Developer (also known as the Contract Signatory), you should provide your details as the Applicant. If your development is eligible, you will have the opportunity to provide the Property Developer details, including their ABN, later in the form.

Property Developer and Billing Contact details

The Property Developer (also known as the Contract Signatory) is the person or company entering into the agreement with nbn for the construction of the nbn network for the development and is responsible for paying the relevant charges (as applicable). If available, you can provide the Property Developer's ABN so that the agreement and invoices are addressed to the preferred entity name.

Any invoices for the charges relating to this application will be addressed to the Property Developer and emailed to the Billing Contact and Accounts Payable contact.




5. Payment preference (if applicable)

The developer contribution charges are a flat rate for Property Developers and Builders, which apply to each new premises that requires a new nbn connection.

You may be given an option to pay these by credit card or via an invoice.





Submitting your application

Once the early planning phase is complete, you can begin your nbn New Developments application.